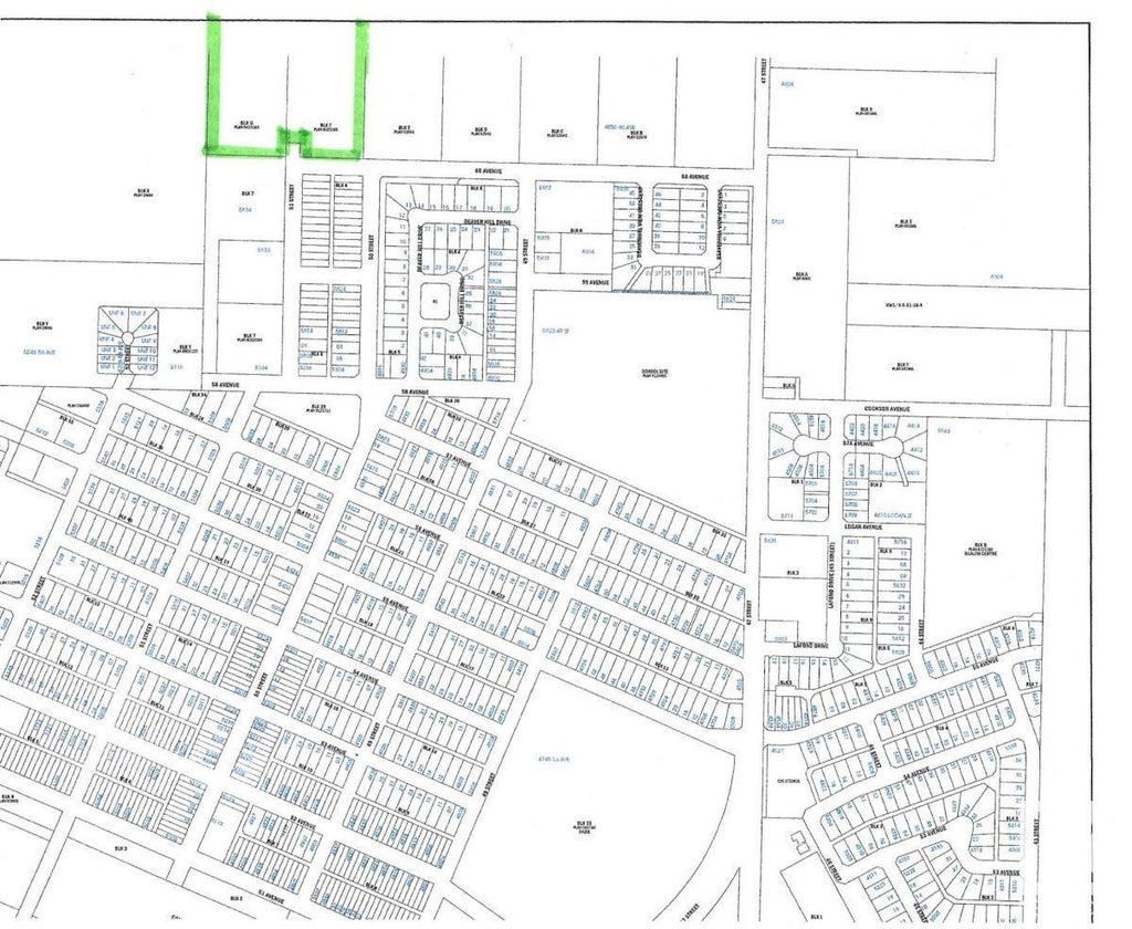
51 Street & 60 Avenue, Tofield, Alberta

$200,000

Previous Next

25.77

Acres

About 51 Street & 60 Avenue

25.77 acres of land, on two separate title, within the town limits Of Tofield. Currently zoned Urban Reserve with the future land use designation of residential. Commuting distances from Tofield: Sherwood Park (50 km), Edmonton (67 km), YEG Airport (75 km). Fort Saskatchewan (74 km) and Camrose (50 km). Some of the community amenities: Schools (K-12), Hospital, Senior Lodges/ Sunshine Villas/ Golden Club, FCSS, churches, Daycare/ Preschool/ Day Homes, Lions Club/ Legion/ Ag. Society, curling rink and arena. A must see!!!. (id:6289)

Features of 51 Street & 60 Avenue

Listing # E4445050
Price $200,000
Bathrooms 0.00
Acres 25.77
Type Vacant Land
Sub-Type Freehold

Community Information

Address 51 Street & 60 Avenue
Subdivision Tofield
City Tofield
Province Alberta
Postal Code T0B4J0

Amenities

Features Flat site
Is Waterfront No
Has Pool No

Interior

Fireplace No
Has Basement No

Listing Details

OfficeExp Realty

Listing Map

Request a Showing

Provide a valid email address.
When would you like to view this property?

The trademarks MLS®, Multiple Listing Service® and the associated logos are owned by The Canadian Real Estate Association (CREA) and identify the quality of services provided by real estate professionals who are members of CREA. REALTOR®. Member of CREA and more.

Listing information last updated on October 14th, 2025 at 1:41pm PDT.